Stewart Estate Agents

Building Site, And Lands With FPP, CORRSTOWN ROAD, Ballinderry Upper, BT28 2NH

Building Site (with FPP) For Sale

£199,950

Print additional images & map (disable to save ink)

Photo 1 of Building Site, And Lands With FPP, Corrstown Road, Ballinderry Upper

Telephone:

028 9261 2121

View Online:

www.stewartestateagents.com/1018830

Key Information

Address Building Site, And Lands With FPP, CORRSTOWN ROAD, Ballinderry Upper, BT28 2NH
Price Last listed at Offers around £199,950
Land type Building Site (with FPP)
Planning Full Planning Permission
Status Sale Agreed

Additional Information

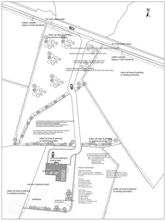
This wonderfully mature building site and lands, with full planning permission for an exclusive detached country home - “Barnhill View House”, neatly tucked away behind the leafy Corrstown Road and within close proximity to the the main A26 for excellent commuting opportunities for Moira and Moira train Station, the M1 interchange for Belfast and the West, as well as Belfast International Airport, Antrim and the North. 


 


The sale of this stunning building site will allow any discerning purchaser the unique opportunity to create a beautifully exclusive country home set in its own seclusion with private lands and woodland to the rear. 


 


Foundations have been laid for Barnhill View House and building works can commence on completion, however provisions have been made for a new house design if desired. 


 


CLEUD (Certificate of Lawfulness of Existing Use or Development).


Viewing a must!


 


Features:-


Stunning mature building site with lands and woodland area to the rear all extending to approximately 3.6 acres


 


Full planning permission for a substantial detached country home, “Barnhill View House” extending to approximately 3,620 sq.ft


 


CLEUD provided from local council


 


Lane way from the Corrstown Road leading to the building site with foundations laid for “Barnhill View House”


 


Stunning mature and leafy property on the Corrstown Road, including a meadow to the rear leading to a fully mature woodland


Directions

Off the main A26.

  • Stewart Estate Agents

    Stewart Estate Agents

    028 9261 2121

Photo Gallery

Photo 1 of Building Site, And Lands With FPP, Corrstown Road, Ballinderry Upper Photo 2 of Building Site, And Lands With FPP, Corrstown Road, Ballinderry Upper Photo 3 of Building Site, And Lands With FPP, Corrstown Road, Ballinderry Upper Photo 4 of Building Site, And Lands With FPP, Corrstown Road, Ballinderry Upper Photo 5 of Building Site, And Lands With FPP, Corrstown Road, Ballinderry Upper Photo 6 of Building Site, And Lands With FPP, Corrstown Road, Ballinderry Upper Photo 7 of Building Site, And Lands With FPP, Corrstown Road, Ballinderry Upper Photo 8 of Building Site, And Lands With FPP, Corrstown Road, Ballinderry Upper Photo 9 of Building Site, And Lands With FPP, Corrstown Road, Ballinderry Upper Photo 10 of Building Site, And Lands With FPP, Corrstown Road, Ballinderry Upper

Location

Visit www.stewartestateagents.com for further details.